返回列表
发布日期:2022-01-26 16:02:12 浏览次数:2394
项目名称:川大华西校区田径运动场地下停车场
设计单位:成都市建筑设计研究院有限公司
项目地点:四川省成都市四川大学华西校区
业主单位:成都高速公路建设开发有限公司
用地面积:304400㎡
建筑面积:51152.5 ㎡
建筑层数:地下3层,地上局部1层
设计/完成时间:2015-08至2016-04



01
【严苛制约,迫切需求】

项目位于华西坝历史保护区内,用地退界有严格限制,且项目位于老城区周边建筑密度大,地上可利用空间极少,加上紧邻华西医院,周边人流极为复杂,加之项目中为解决片区交通而新增的地下通道需跨越校区,顶板上方的情况十分复杂。
项目位于四川省成都市四川大学华西校区内,紧临人民南路与华西校区东区校大门,主要设计内容包含田径运动场地下停车场主体、接林荫街车行通道、接附四院地下通道等部分。项目的主要目的旨在融入区域大环境前提下,连接川大华西东西校区,为周边医疗服务行业、教育事业提供有力的保障,合理组织交通,建立合理高效的人行、车行交通流线,更新区域内交通网络,尊重环境,与现有校园环境相结合,并打开华西坝历史景观,提升整个片区的空间品质。
02
【以人为本,切实为民】

四川大学华西医院是西部地区规模最大的综合性医院,每天平均就诊患者人数达8万人。然而医院地处成都老城区,周边道路狭窄,停车位严重不足,因此医院周边一直是成都最堵的路段,项目针对这一基本民生问题,建设含1330个车位以及在地下连接周边道路和华西两个校区的多条地下通道,为片区提供了系统的交通解决措施。
封面新闻四川频道数据解读项目完成后华西医院片区拥堵指数下降了6成,11月9日的《人民日报》8版发表报道《让医院停车不再难》,该项目解决医院停车难题的做法受到关注。
03
【革故鼎新,蕴古于今】



改造体育馆近景

设计上尊重片区历史风貌,在保护华西坝建筑深厚文化底蕴和历史文化印记的同时,设计提取华西坝沉淀百年的风貌特征,推陈出新,在保护的基础上革新,将其作为一种成都新时代的文化符号,重新展现新的生命力。
04
【愈除沉疴,破壁新生】

人民南南路旧貌

调转看台位置,打开城市界面

人民南南路新貌
以华西标志性建筑钟楼为主的华西坝历史建筑群位于人民南路东侧,长期以来由于田径运动场看台的修建,遮挡住了历史建筑群在人民南路上的展示面。
在此次停车场设计上,利用此次开挖和拆除看台的机会,将看台还建于球场东侧,以及新建地下网球馆。同时严格控制建筑风貌、高度和天际线的走向。在新建建筑与历史建筑群融为一个有机整体的同时,对历史建筑在人民南路一侧展示成都灿烂的历史文化底蕴,华西钟楼也通过开敞的城市空间成为人民南路上一道亮丽的风景。
05
【交通导向,片区融合】

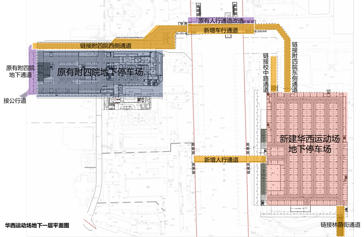
融入TOD理念的城市交通系统整合,通过分析片区周边现有城市地下空间情况,新增了三条地下通道,两条各约400米长地下车行通道,分别蜿蜒穿越川大华西医学院东西两个校区接入城市主要市政道路的车道,其中北侧通道中段为原有人民南路过街地下人行通道,本次设计将其进行了改造,将机动车行道功能与原有人行功能融为一体。
项目最终连接了自林荫街到华西校区东区到人民南路三段再到华西校区西区以及公行道这一整个片区,整合了片区内的交通网络,建立了合理高效的人行、车行交通流线。
06
【盾构通道,立体互通】


该地下车库西侧与华西附二院之间新建了穿越城市主干道(人民南路)的地下人行通道,采用顶管盾构法施工工艺,从本工程地下二层位置穿越人民南路主干线直达华西附二院门诊部人行道。由于场地条件限制,盾构顶管后座需要设置在地下室主体范围内,且与地下室主体同时施工,完全打破以往顶管后背的常规做法,属于国内首例。为此结合现场条件,在地下室主体内设计了一个顶管后背墙结构,在设计过程中通过与相关单位和部门密切配合沟通,广泛资料调研,反复方案对比试算优化,并结合施工工期等因素确立了以简便节省、操作清晰、有效可行的设计方案,确保盾构施工的顺利进行。
目前该工程已顺利完工,其桩筏连接节点及顶推后背墙主体结构设计已成功申报实用新型技术专利,发明专利正在实质审查过程中。
07
【绿色节能,低碳建构】

导光管地面

使用威卢克斯导光管采光系统,使用过程中能真正达到零排放,绿色环保,持久耐用。采用方形,地坪式布置,表面采用15MM夹角安全玻璃。美观,坚固,防水性能优越,导光管采光系统,引入并数倍放大照度,达到舒适、自然、全光谱的室内照明体验。
08
【技术创新,提档节资】

无梁楼盖
负一层4.8m层高机械立体车库采用框架结构,-2、-3层采用板柱-剪力墙结构,层高为3.3m以减小地下室埋深和抗浮设计水压。无梁楼盖的结构形式,净空利用率高,造型美观,有利于通风及布置管线,达到施工便捷、缩短施工工期的效果,也一定程度上节约了工程成本造价。
虹吸式排水系统,地下工程顶板虹吸排水收集系统,顺利解决了顶板排水的问题,大大降低施工难度、缩短工期。利用虹吸式原理,通过虹吸排水板与虹吸排水槽的铺设,实现地下室顶板无找坡排水。